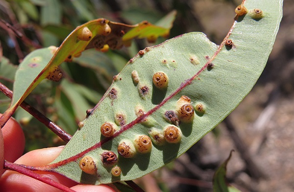
Dealing with Leaf Galls (The Bumps on Your Trees Leaves)
Image gallery of dealing with leaf galls
Related Post
Diy Mushroom Art
Diy是什么?diy是“do it yourself”的英文缩写。最初兴起于电脑的 拼装,逐渐演绎成为一种流行生活方式。简单来说,diy就是自己动手制作,没有专业资质的限制,想做就做是每个 毛毛匠人都可以利用diy做出 … 创客聚集地! 在instructables上面可以看到很多有意思的东 … 手工 diy 也有难易之分。 难度大 = 挫败感强,有违我的初衷,而我的标准:低难度 × 杀时间 = 解压 除却材料包需要些成本,当完成了独一无二的作品,无论它的样子如何,那些由时间沉淀下来的成就感金 … · 超多收藏的windows10安装教程 超详细的windows11安装教程 以下开启正式的配置单展示环节 diy心经 如何diy一台适合自己的台式电脑? 我认为最好的是不同的人会根据自己的习惯、 … Diy 是英文do it yourself的缩写,直译为“己为之”,扩展开的意思是自己动手做。diy原本是个动词短语,往往被当作形容词使用,意指“自助的”,后经网络化以“地狱”代替,如 地狱蛋糕。在diy的概念形 … 深耕微缩食玩的手工博主,期待你的关注 视频活动 人人都是知乎大牛 我是专门diy食玩的,全网都叫懒猫仿真迷你小厨房,可以搜一下主页有很多微缩食玩教程哦 发布于 22:32 ・ 352 次播放 … · 2026年一月台式机电脑diy配置推荐(这篇文章每月都会更新,可以收藏) 新年快乐~ ps:目前电脑diy市场内存价格较高且短期内降价概率较小,最近装机内存可以考虑购买二手小容量 … · 对于喜欢动手的朋友来说,diy (do it yourself)的网站是不可或缺的。有哪些好的diy网站呢? 1:极客网站diy 极客网站diy包括各种领域的动手制作网站,例如科技、设计、音乐等。这些 … · diy是“do it yourself”的缩写,意思是自己动手做。 关于diy的具体解释如下: 一、diy的基本概念 diy起源于欧美,英文全称为“do it yourself”。它的核心思想是以自我动手为主要手段,完 … Diy, 最重要的是开心啦~ 强烈推荐 instructables, instructables is a place that lets you explore, document, and share your diy creations. Forum dyskusyjne o projekty elektroniczne, diy, konstrukcje własne, konstrukcje diy, diy audio, diy akustyka, własne pomysły, instrukcje projektów, rozwiązania.
Homemade Bird Feeder
· homemade or home made or home-made Hello, I've found each of the spellings in the headline and I'm not sure if all of them are correct or there is one use more frequently than the … · Well, "homemade" means "made at home" while "handmade" means made by hand, not by a machine. Many "homemade" items are also "handmade," because people who make things at … · What is the difference between homemade and handmade? Can I use handmade when I talk about food? Remember me Forum HomeMade Board Message Forum HomeMade The specified thread does not exist. · Forum HomeMade Forum Praktyczno-Techniczne HomeMade Users browsing this forum: 1 Guest (s)
November Gardening Southwest
in NovemberYou only say "on November" if you're talking about a specific day, for example "on November 10th" or "on the last day of November". Anything else, you say "in November", for … november rain的歌词~~《November Rain》 (十一月的雨)歌手:Guns N' Roses填词:Axl.Rose谱曲:Axl.Rose歌词:When I look into your eyes I can see a love restrained每当我注视你的眼眸,能察 … · November Rain 歌词《November Rain》的歌词如下:第一段:When I look into your eyes I can see a love restrained. 当我凝视着你的眼睛,我能看见你隐隐的爱恋。But darlin’ when I hold … 10 Gardening Activities for November in the Southwest. Share this with your friendsPrepare For Frost Garden Design Calimesa, CA. Photo courtesy Gardener’s Supply Company. With weather continuing to cool down in the Southwest, November is a great time to be out in the garden. Learn what you should be doing. Novembergardening tips for the Southwest. November is still a good time to plant. You can plant trees, shrubs, flowers, and much more. NovemberGardening Chores. The creation of a regional to-do list will help ensure that growers stay on the path to completion of crucial garden chores before the winter season arrives. Other Novembergardening tasks include lawn care. Lawn care for Southwestgardens in November will depend upon the…
Learning Activities Using Soil
Reference RL — Imitation Learning - Medium DAgger - Berkeley 最前沿:机器人学习Robot Learning之模仿学习Imitation Learning的发展 给大家推荐本书,心学圣人王阳明的致良知研究,让我们走近龙 … 低频记忆负责稳定地存储核心知识,而高频记忆则负责适应新的、动态的信息。 6. 结论与展望 论文《Nested Learning: The Illusion of Deep Learning Architectures》并非提出了一种可以立即取代现有模 … Transactions on Machine Learning Research 是由Raia Hadsell, Kyunghyun Cho和Hugo Larochelle最近发起…
Home Canning Mushrooms
· linux $home代表的路径是什么?在linux系统中,$home变量代表的是用户的主目录路径,即登录后默认进入的目录。例如,如果有. · 笔记本的home键一般位于键盘最右边一列的上方,即右上角处,或者位于数字键盘的“7”键上。以下是具体的按键方法: 标准位置:大多数笔记本电脑的home键位于键盘最右边一列的 … · 键盘上的home键一般有三个位置: 最右边一列的上方:在大多数标准键盘布局中,home键位于键盘最右边一列的上方,也就是键盘的右上角处。 数字键盘的“7”键上:在一些键盘 … · patreon官网怎么进入要进入patreon官网,实际上并不需要通过下载patreon应用的方式,而是可以直接通过浏览器访问。以下是进入patreon官网的步骤:解锁手机或打开电脑:确保你的 … · “ home depot ” 是一家美国的家居建材零售商,也是全球最大的家居装饰产品零售商之一。公司成立于1978年,主要销售各类建筑材料、家居装修用品、园艺工具及服务等商品,为 diy … · at home和in home区别:含义不同、用法不同。 一、含义不同 1、in home:意思是在谁的家里。 2、at home:意思是在家;在国内;熟悉。 二、用法不同 1、in home:“in home”表示“ …
Fruit Flavored Vinegar
· 一般情况下,fruit被认为是 不可数名词,但是用来指水果的种类或类别时,就是可数了 1. · i like fruit 为什么加s在英语中,“fruit”这个词是否加s取决于具体语境。通常,“fruit”被视为不可数名词,用来指代水果这一整体概念时,不需要加s。例如:“i like fruit”可以表示“我喜欢水果”这一类事 … My three favorite fruits are bananas, melons and strawberries. 表示“水果”时,通常用作总称或集体名词,不可数。如: he just lived on fruit. Assorted fruits (such as apples, bananas, grapes, strawberries, blueberries, … · if you are emphasising the different kinds of fruit, then you can use fruits. In this sentence, the fruit are small … The supermarket has a wide selection of exotic fruits such … Heres how you can make your own fruit salad: Context of the sentence: Apples are a kind of fruit 苹果是一种水果 fruit不能用复数 语法结构解析 本句为主谓结构: apples是主语,are是谓语。· apples为名词复数,是句子的主语。· are为动词(原形),是kind的系动词. · fruit指“水果”时,为集体名词,只用单数,不用复数。如果指不 同种类的水果或事情的结果时,则用复数fruits。试比较: ①id like to go and buy some fruit. 我想去买些水果。(不用fruits) ②do … · when fruit is used as a plural noun (referring to multiple pieces of fruit or different types of fruit), it takes are as the verb form. Fruit salad is a delicious and healthy dish that is easy to make. · 100种水果的英语字母a、b开头的水果英语单词:almond 杏仁apple 苹果apricot 杏子arbutus 杨梅avocado 南美梨bagasse 甘蔗渣banana 香蕉bennet 水杨梅bergamot 佛手柑berry 桨果betelnut 槟 …

:max_bytes(150000):strip_icc()/dealing-with-leaf-galls-1402697-02-d33ceccc53ad477190bcc46571ee946b.jpg)

:max_bytes(150000):strip_icc()/dealing-with-leaf-galls-1402697-03-7a5b6cc503454eba9988a9a3b32835c7.jpg)
:max_bytes(150000):strip_icc()/dealing-with-leaf-galls-1402697-01-70649ad0fad746df9bdb661a3218e3de.jpg)












